Is a bad definition of "derelict" partly behind the bad dereliction in Dublin?
The Department of Finance, with Revenue and the Department of Housing, is looking at a new definition, said a spokesperson.
As of April, only nine of the 23 ground-floor units across the Herberton Complex were occupied.
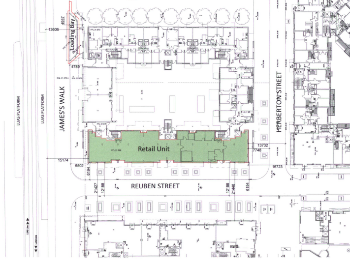
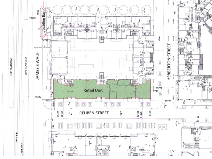
Twenty years ago in March 2006, An Bord Pleanála granted permission for retail units on the ground floor of an apartment block on Reuben Street, just south of the Fatima Luas stop.
They were built as part of the much bigger Herberton development, but they are still empty. Last Friday, the strip had fogged windows with splintered glass and a peeling dummy shopfront.
In August though, Tesco Ireland applied for planning permission to change the layout of the spaces – which are owned by Maplewood Elliott JV Limited – to suit the purposes of the retail store.
Dublin City Council granted permission.
In November, that decision was appealed to An Coimisiún Pleanála by Robert O’Leary, with an address at the Centra in Rialto.
The case should be decided by 24 March next year, says the An Coimisiún Pleanála website.
Joe Donohoe, a community development manager at Fatima Groups United, said that he thinks that, in general, the local community is behind the plan for a Tesco.
Even if the proposed supermarket is smaller than was originally planned back when the development was built, he says. “There’s a significant level of support.”
As of April, nine of the 23 ground-floor units across the entire Herberton Complex were occupied, according to a planning document for a different space.
The Herberton complex in Rialto was built about 20 years ago, replacing the old social housing complex of Fatima Mansions.
Vacant shopfronts throughout the blocks have long been a source of frustration for many local residents, and for councillors.
In August 2022, Labour Councillor Darragh Moriarty said he was told a legal dispute between the council and developer had meant some of the shop spaces had never been available to rent.
At that time, John Ryan, the head of the council’s vacant property unit, said that the council had been engaging with the owners of units that were vacant, and resolving legal and other matters.
Are those legal matters sorted? On Tuesday, a council spokesperson said “the City Council, Developer of the Complex and the Management Company are finalising arrangements for the completion of the Project Agreement”.
Dublin City Council itself owns three enterprise units in the Herberton development, they said – two of which are leased, and one of which is vacant.
It also owns the F2 centre, which is leased, as is the cafe, and the creche. “All of the remaining commercial units are privately owned,” they said.
Planning documents name the owner of the potential Tesco store as Maplewood Elliott JV Limited.
The planning application by Tesco Ireland mentions the decades of vacancy, but doesn’t mention any legal wrangling as behind it. Instead, it says, “due to the economic downturn, the ground-floor units were never occupied”.
The shell of the ground floor was built, it says, but the internal fit-out and partition walls weren’t done, says the application.
Tesco’s planning application is to amalgamate ground-floor units along Reuben Street, to make a single shop, with an alcohol-sales area too. It also asks for a loading bay on James’s Walk.

The vacancy in general around the complex is baffling, said Lily Higgins, who was pushing a pram down Reuben Street before cutting west past the bright windows of the recently opened Ango’s Cafe.
Especially, given all the apartments above and the busy St James’ Hospital nearby too. It would seem a no-brainer for a shop, she says.
Higgins was warm to the idea of a new Tesco.
There are a few other shops further out of the neighbourhood. But putting one in by the Fatima Luas would be handy enough for many people to be able to send kids down to pick up a few bits, she says. “It would be good.”
Others on Friday morning were a bit more conflicted.
“Oh goodie!” said David Dunphy with a big thumbs-up and a giant grin, and bouncing a little when he heard that the planning application has been appealed to An Coimisiún Pleanála.
Dunphy was stood behind the counter of C&C Family Butchers, one of the handful of shops in the complex.
He is, of course, conscious that a Tesco would bring competition, he says. He’s been lucky enough to have 15 years without that, he says.
But that said, he has loyal customers and the fresh cuts and fresh mince he offers can definitely compete, Dunphy says.
“But it’ll be the little bits and all,” he says. Those are where he’s likely to be hit.
One wall of the shop holds shelves of everyday goods – crisps, Frank’s red sauce, cans and so on.
There’s little he can do really about it though, he says, with good humour.
Maybe it’ll actually bring more people to him, he says, and he’ll just adapt and change things up as needs be. “We’ll wait and see what happens. If I have to think out of the box, I will.”
Tesco’s planning application attracted three third-party submissions.
Peter Daynes said that he would welcome more local services, but asked that the store be mindful of residents living nearby.
There should be conditions around operations such as opening hours, deliveries, and litter management, he said.
Liam Cunnane also weighed in. He welcomed the principle of the Tesco, he said. But again, he asked for some controls on potential nuisance impacts on residents, such as noise, and access to the private internal courtyard of the block.
Last Friday, Gary Gowran was headed back home into the building opposite the proposed store.
He is circumspect about a Tesco going in. For him, the vacancy hasn’t seemed a big deal, he says. “It hasn’t really been a problem.”
He shops at the Lidl on Cork Street and there’s a Tesco Express in Dolphin’s Barn and another in Grand Canal Harbour if he needs one, he says.
“It’d be handy in a sense that I can just cross the road,” he says.
But ideally, he wishes the space were to be something different, maybe arts spaces, he says. “That would be great.”
It’s hard to know what the future holds, he says. “It’s been unoccupied for so long, that it’s hard to imagine something else.”
Meanwhile, Robert O’Leary, who runs the Centra in Rialto, objected to the proposal. Among other issues, it would impact the “local character” of the neighbourhood, he wrote.
Tesco often leaves trolleys and bins outside their stores, he said, and an off-licence would lead to anti-social behaviour. The increase in deliveries would lead to congestion, he said.
In October, council planners approved Tesco’s application. “It is considered that the development will make a positive contribution to retail in the immediate area,” they said.
“It is considered that the proposed Tesco would add to the vitality of this area of the city and provide a needed retail use in what is currently a number of vacant retail units,” said the report.
O’Leary appealed that grant of permission, repeating his objections, to An Coimisiún Pleanála. He didn’t want to comment on the appeal, he said by email on Monday.
Donohoe, of Fatima Groups United, said there had been changes in retail and uses recently at the complex which are positive.
The ongoing use of some shop spaces near the Fatima Luas stop as offices for staff working on the construction of the National Children’s Hospital has been good for footfall, he said.
Permission for that was recently extended by five years, he said. “They may stay longer beyond that as well.”
The cafe, Ango’s, is going down very well, said Donohoe, and is well-used by the locals and hospital staff. “It’s a really good one.”